لینک‌های قابلیت دسترسی

خبر فوری
سه شنبه ۱۱ آذر ۱۴۰۴ تهران ۱۸:۳۴

نزدیک شدن توفان «متیو» به آمریکا؛ اوباما در فلوریدا وضعیت اضطراری اعلام کرد


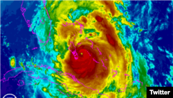
گزارش‌ها حاکی است که توفان سهمگین «مَتیو» تاکنون دستکم ۳۳۹ کشته در هائیتی برجای گذاشته است. در همین حال، باراک اوباما، برای تسهیل کمک رسانی‌ها وآمادگی برای مقابله با این توفان در ایالت فلوریدا وضعیت اضطراری اعلام کرد.

به گزارش رویترز، این توفان سهمگین هم اکنون پس از در نوردیدن باهاماس با سرعتی معادل۲۲۰ کیلومتر در ساعت به سمت جنوب آمریکا وسواحل شرقی ایالت فلوریدا در حرکت است.

طبق این گزارش توفان سهمگین «متیو» در هائیتی ۳۳۹ کشته برجای گذاشته است. این توفان همچنین در جمهوری دومینیکن باعث کشته شدن چهار نفر شده است.

خبرنگار رادیو «ان پی ار» می گوید، ابعاد خسارات وارده به هائیتی بسیار گسترده است.

در همین حال، مقام‌های آمریکا و ایالت فلوریدا خود را برای رویارویی با «متیو» آماده می کنند.

«سی ان ان» می گوید، توفان «متیو» مرگبارترین توفانی است که در یک قرن اخیر سواحل شرقی ایالت فلوریدا را در خواهد نوردید.

ریک اسکات، فرماندار فلوریدا گفته است، اگر این توفان به طور مستقیم به سواحل شرقی این ایالت برخورد کند، می تواندخسارت‌های «فاجعه باری» به وجود بیاورد.

به گزارش رویترز دستور تخلیه اجباری دو میلیون نفر در مسیر این توفان سهمگین صادر شده است.

ریک اسکات خطاب به شهروندانی که در مسیر توفان «متیو» قرار دارند،گفته است: اگر در خصوص ترک و خانه وکاشانه اتان تردید دارید، به آنهایی که تاکنون در اثر این توفان کشته شده اند فکر کنید.

فرماندار فلوریدا اضافه کرده است، از خانه های خود خارج شوید و منطقه را ترک کنید، زمان را ازدست ندهید که این توفان شما را خواهد کشت.

به دستور فرماندار فلوریدا چند هزار نیروی گارد ملی برای کمک به این مناطق اعزام شده اند.

به گزارش «سی ان ان» توفان «متیو» ساعت اولیه بامداد روز جمعه به سواحل شرقی فلوریدا خواهد رسید.

طبق این گزارش ، پیش بینی ها حاکی است که قدرت این توفان به هنگام برخورد با فلوریدا «رتبه ۴» خواهد بود.

کارشناس این شبکه تلویزیونی می گوید، از سال ۱۹۳۵ تا کنون باهاماس شاهد چنین توفانی نبوده است. وی اضافه کرده است این توفان با قدرت تمام احتمالا مستقیما به شهر ملبورن در ایالت فلوریدا برخورد خواهد کرد.

XS
SM
MD
LG